Элитный дом с видом на море на Французском бульваре, Одесса, 1-я линия ID 433
Добавитьв избранное
3 200 000 USD
комиссионные 3 %
Обновлено: 25.10.25
Одесская обл., Одесса, Приморский р-н., Французский/Шевченко
Комнат:
5
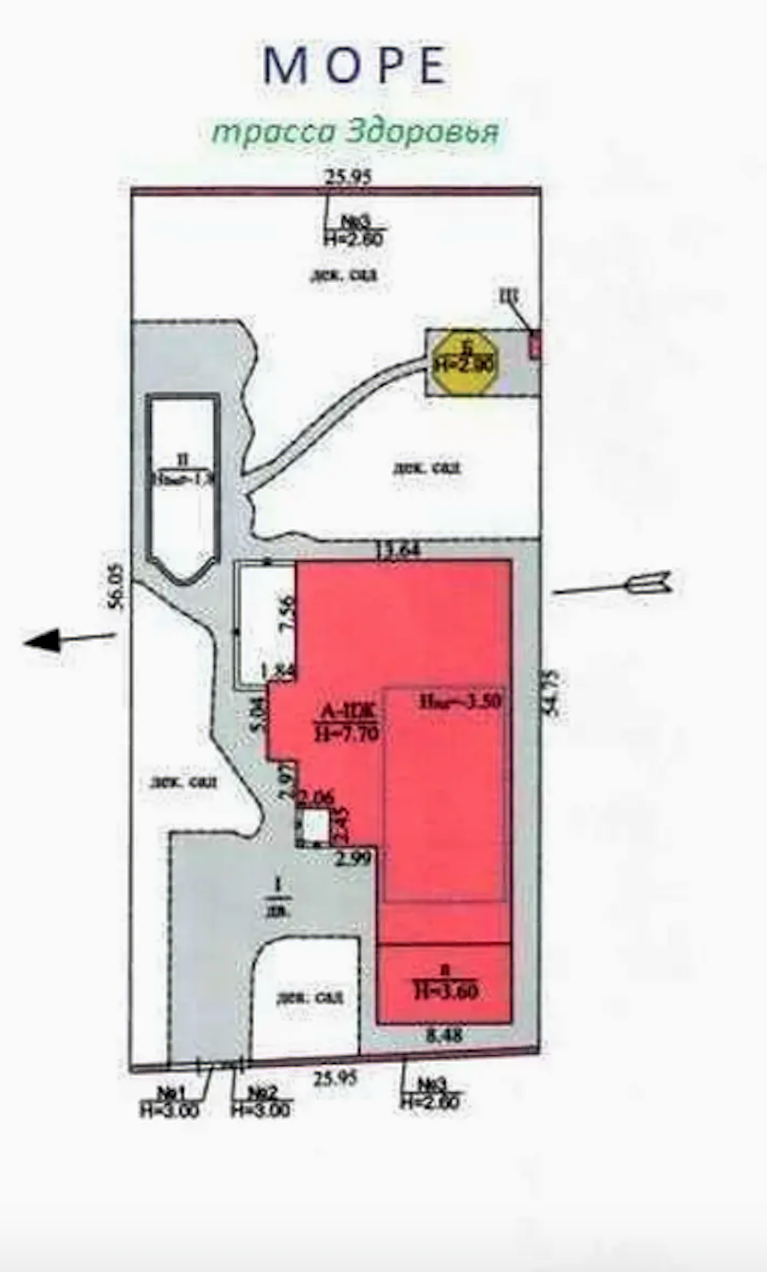
S дома :
530 м2
S участка:
14 сот.
-F-130-40
В продаже элитный дом с видом на море в одном из самых престижных районов Одессы — на улице Морской, рядом с Французским бульваром. Расположение — в закрытом охраняемом кооперативе, что обеспечивает тишину, безопасность и комфорт. Первая линия моря. Участок — 14 соток, правильная прямоугольная форма. Открытый бассейн. Дом построен из красного кирпича, общая площадь — 530 м². Продуманная архитектура и ориентация на море позволяют наслаждаться видом на море.
